Grand Parkway 18
Grand Parkway 18
3349 W Grand Parkway N, Katy, Texas 77449
3349 W Grand Parkway N, Katy, Texas 77449
Commercial
New Development
For Lease |

Location Images

View Property Flyer
Commercial
New Development - Coming Soon
17,000 sq. ft. of retail space • Brand new construction with high visibility, ample parking and monument signage available
For Lease
The logo for the american realty group is blue and white.
View Flyer
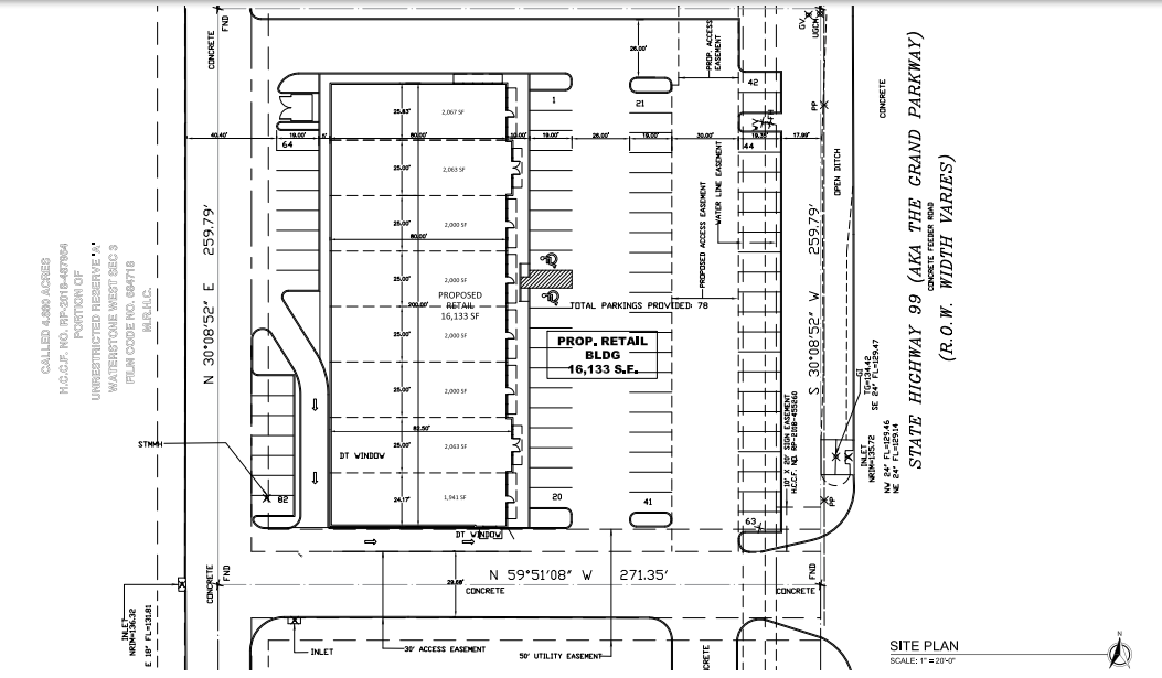
Site Plan

Share Details

Location